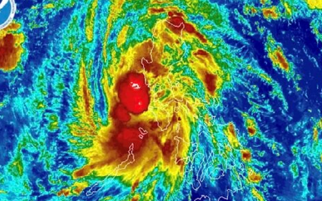
Bão Fengshen đang tiến sát Biển Đông
Dữ liệu của Trung tâm Dự báo khí tượng thủy văn Quốc gia cho thấy, bão Fengshen tăng cấp và hướng về khu vực Bắc Biển Đông.
Cụ thể, hồi 13h ngày 19/10, vị trí tâm bão ở vào khoảng 14,7 độ Vĩ Bắc; 120,4 độ Kinh Đông, trên khu vực miền Trung Philippines. Sức gió mạnh nhất vùng gần tâm bão mạnh cấp 9 (75-88 km/h), giật cấp 11. Di chuyển theo hướng Tây Bắc với tốc độ 20-25 km/h.

Dự báo đường đi của bão Fengshen. Ảnh: nchmf.gov.vn
Dự báo đến 13h ngày 20/10, bão trên khu vực Bắc Biển Đông, sức gió mạnh cấp 10, giật cấp 12, di chuyển theo hướng Tây Bắc với tốc độ khoảng 25 km/h và có khả năng mạnh thêm. Khu vực ảnh hưởng là khu vực Bắc Biển Đông. Cấp độ rủi ro thiên tai cấp 3.
Đến 13h ngày 21/10, bão trên khu vực Bắc Biển Đông, dự báo cách đặc khu Hoàng Sa khoảng 200 km về phía Bắc Đông Bắc, sức gió mạnh cấp 11, giật cấp 13, di chuyển theo hướng Tây với tốc độ khoảng 15 km/h và có khả năng mạnh thêm. Khu vực ảnh hưởng là khu vực Bắc Biển Đông (bao gồm đặc khu Hoàng Sa). Cấp độ rủi ro thiên tai cấp 3.
Đến 13h ngày 22/10, bão trên vùng biển phía Tây Bắc đặc khu Hoàng Sa, sức gió mạnh cấp 10, giật cấp 13, di chuyển theo hướng Tây Nam với tốc độ khoảng 5-10 km/h. Khu vực ảnh hưởng là vùng biển phía Tây khu vực Bắc Biển Đông (bao gồm đặc khu Hoàng Sa). Cấp độ rủi ro thiên tai cấp 3.
Từ 72 đến 120 giờ tiếp theo, bão di chuyển chủ yếu theo hướng Tây Nam, mỗi giờ đi được 10 km và suy yếu dần.
Do ảnh hưởng của bão, vùng biển phía Đông khu vực Bắc Biển Đông có gió mạnh cấp 6 - 7; vùng gần tâm bão mạnh cấp 8 - 10, giật cấp 12, sóng biển cao 2,5 - 5m, iển động rất mạnh.
Cảnh báo, trong khoảng ngày 20 - 22/10, khu vực Bắc Biển Đông (bao gồm đặc khu Hoàng Sa) có khả năng chịu tác động của gió mạnh cấp 10 - 11, giật cấp 13.
Toàn bộ thuyền hoạt động trong các vùng nguy hiểm nói trên đều có khả năng chịu tác động của dông, lốc, gió mạnh, sóng lớn.
Dự báo thời tiết 10 ngày tới cascc khu vực trên cả nước
Dự báo thời tiết các khu vực từ đêm 19/10 đến ngày 21/10
- Bắc Bộ và Thanh Hóa: Thời tiết có mưa rào và dông vài nơi, trưa chiều trời nắng. Từ đêm 20/10: đêm không mưa, ngày nắng; đêm trời lạnh.
- Khu vực từ Nghệ An đến Quảng Ngãi: Đêm 19/10 có mưa vừa, mưa to và dông, cục bộ có nơi mưa rất to; từ ngày 20/10 có mưa, mưa vừa, cục bộ có nơi mưa to và dông.
- Các khu vực khác: Chiều và tối có mưa rào và dông rải rác, cục bộ có nơi mưa to. Trong mưa dông có khả năng xảy ra lốc, sét, mưa đá và gió giật mạnh.
Dự báo thời tiết các khu vực từ đêm 21/10 đến ngày 29/10
- Bắc Bộ: Dự báo thời tiết có mưa vài nơi, ngày nắng. Đêm và sáng trời lạnh, vùng núi có nơi trời rét.
- Bắc và Trung Trung Bộ: có mưa, mưa vừa và rải rác có dông, cục bộ có nơi mưa to; riêng khu vực Hà Tĩnh đến Quảng Ngãi từ khoảng ngày 23/10 có khả năng xảy ra một đợt mưa lớn diện rộng.
- Các khu vực khác: chiều và tối có mưa rào và dông rải rác, cục bộ có nơi mưa to. Trong mưa dông có khả năng xảy ra lốc, sét, mưa đá và gió giật mạnh.
Bão Fengshen có xu hướng mạnh lên khi đi vào Biển Đông trở thành bão số 12, sau đó đổi hướng do không khí lạnh và suy yếu dần.
Tin bão mới nhất ngày 19/10 của Cơ quan Thiên văn, Địa Vật lý và Khí quyển Philippines (PAGASA) cho hay, bão Fengshen (Phong Thần, tên ở Philippines là Ramil) đang ở trong khu vực dự báo của Philippines (PAR).
Theo Lao Động dự báo Bão Fengshen đổ bộ ít nhất 5 lần ở Philippines kể từ chiều 18/10 và dự kiến mạnh hơn nữa khi vào Biển Đông, trở thành bão số 12 của mùa bão năm nay.
Lần đổ bộ đầu tiên trong số ít nhất 5 lần đổ bộ dự kiến ở Philippines của bão Fengshen diễn ra lúc 16h10, chiều 18/10 tại thị trấn Gubat, Sorsogon.
Vào thời điểm đổ bộ lần đầu, bão Fengshen có sức gió duy trì tối đa 65 km/h và giật lên tới 90 km/h. Con số này giảm nhẹ so với sức gió mạnh 75 km/h được ghi nhận sáng 18/10, trong khi gió giật vẫn giữ nguyên ở mức 90 km/h.
Dự báo trước đó của PAGASA vào 11h trưa 18/10 cho thấy cơn bão có thể đổ bộ lần đầu vào Bắc Samar, Catanduanes hoặc Albay.
Đây là cơn bão nhiệt đới thứ 18 đổ bộ vào Philippines trong năm 2025 và là cơn bão thứ 3 trong tháng 10. PAGASA cũng lưu ý rằng Philippines đang trong giai đoạn chuyển sang gió mùa đông bắc và hiện tượng La Nina đang diễn ra, điều này có nghĩa là nước này có thể có lượng mưa trên mức bình thường trong những tháng tới.
Trúc Chi (t/h)
