Mắt bão Hạ Long rõ nét, hướng đi "dị thường"

Mắt bão Hạ Long rõ nét, hướng đi "dị thường"

Thứ 4, 08/10/2025 12:32 GMT+7

Bão Hạ Long được đánh giá là một trong những cơn bão mạnh nhất mùa bão 2025 tại Tây Bắc Thái Bình Dương, với cấu trúc hoàn hảo và khả năng tàn phá rộng lớn nếu lệch hướng tiến gần bờ.

Bão Hạ Long tâm điểm hướng về đâu?

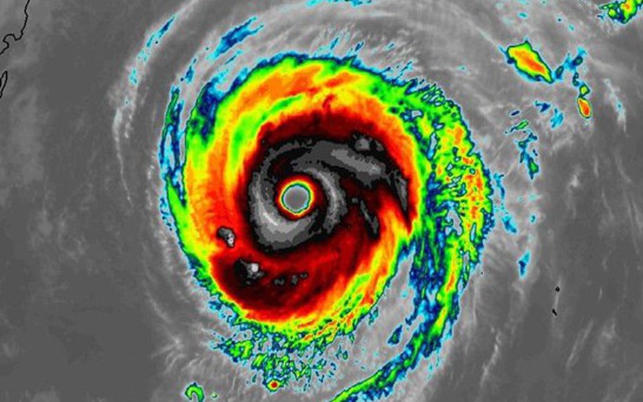
Tin bão mới nhất của Cơ quan Khí tượng Nhật Bản (JMA) cho hay, lúc 6h ngày 8/10, bão Hạ Long (Nhật Bản gọi là bão số 22) được xác định là bão rất mạnh với sức gió 220 km/h, đang di chuyển theo hướng bắc trên vùng biển phía nam nước này. Dự báo, bão sẽ tiến gần quần đảo Izu trong đêm nay và vượt qua khu vực phía nam, bao gồm đảo Hachijojima và Aogashima, vào sáng 9/10.

JMA cảnh báo, sức gió tại tâm bão có thể đạt tới hơn 250 km/h, cấp siêu bão - đủ sức thổi bay mái nhà, gãy cột điện và gây sập các công trình yếu. Giới chức địa phương yêu cầu người dân ven biển sơ tán sớm, tránh thiệt hại do triều cường và ngập lụt.

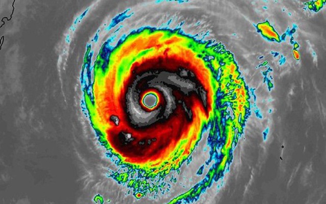
Theo dữ liệu vệ tinh, bão Hạ Long đã tăng cấp nhanh kể từ chiều 7/10, với sức gió mạnh nhất 215-220 km/h, áp suất trung tâm giảm xuống còn 942 hPa. Ảnh vệ tinh cho thấy mắt bão lớn và rõ nét, bao quanh bởi mây đối lưu cực mạnh - đặc trưng của bão cấp 4 theo thang Saffir-Simpson, và có thể đạt ngưỡng siêu bão (cấp 5) trong vòng 24 giờ tới.

Các chuyên gia dự báo bão nhận định, bão Hạ Long đang di chuyển chậm theo hướng tây bắc - đông bắc, men theo rìa áp cao Thái Bình Dương. Môi trường khí quyển lý tưởng - gió đứt yếu, không khí ẩm, nước biển ấm - đang giúp bão tiếp tục mạnh thêm trước khi suy yếu khi gặp vùng nước lạnh hơn ở phía bắc.

Dự báo mưa với tổng lượng mưa trên đảo Hachijojima có thể đạt 300mm đến đêm 9/10, và có thể cao hơn nếu các dải mây đối lưu duy trì lâu. Cơ quan chức năng Nhật Bản đã đặt khu vực trong tình trạng cảnh báo cao nhất về nguy cơ sạt lở, lũ quét và ngập úng.

Sóng cao 8-10m được ghi nhận ở vùng ven bờ phía nam đảo Honshu. Nhiều tuyến vận tải biển và cảng cá đã tạm ngừng hoạt động, trong khi Lực lượng Phòng vệ Nhật Bản (JSDF) được đặt trong tình trạng sẵn sàng ứng phó khẩn cấp.

Mặc dù không được dự báo sẽ đổ bộ trực tiếp vào đất liền, bão Hạ Long vẫn có thể gây ra gió mạnh, sóng lớn và mưa cực đoan dọc theo bờ biển nam Honshu trong hai ngày 8-9/10. Người dân được khuyến cáo tránh ra biển, hoãn các hoạt động ngoài trời và chuẩn bị ứng phó với khả năng mất điện kéo dài.

Mắt bão Hạ Long rõ nét, hướng đi "dị thường" - Ảnh 1.

Bão Hạ Long có sức gió 220km/h vào 6h10 ngày 8/10. Ảnh: Zoom Earth.

Dự báo bão Hạ Long sẽ suy yếu dần từ cuối ngày 10/10, khi gặp không khí lạnh và gió đứt mạnh ở phía đông bắc Nhật Bản. Dự báo, trong 4-5 ngày tới, bão Hạ Long sẽ rời khỏi Tây Bắc Thái Bình Dương, chuyển thành xoáy thuận ngoài nhiệt đới gần quần đảo Aleut (Mỹ) và có thể gây gió bão, mưa tuyết tại vùng Alaska đầu tuần tới.

Bão Hạ Long được đánh giá là một trong những cơn bão mạnh nhất mùa bão 2025 tại Tây Bắc Thái Bình Dương, với cấu trúc hoàn hảo và khả năng tàn phá rộng lớn nếu lệch hướng tiến gần bờ.

"Chỉ cần sai lệch đường đi nhỏ cũng có thể khiến hậu quả nghiêm trọng. Người dân cần chuẩn bị cho kịch bản xấu nhất", một chuyên gia JMA cảnh báo.

Bão Hạ Long không vào Biển Đông, Việt Nam chưa ghi nhận cơn bão số 12

Dự báo bão Hạ Long (Halong) đang hoạt động ở khu vực tây bắc Thái Bình Dương không đi vào Biển Đông, không ảnh hưởng đến đất liền nước ta. Đồng thời, hiện nay chưa có cơn bão số 12.

Trước đó, trong buổi họp báo thường kỳ của Bộ Nông nghiệp và Môi trường ngày 6/10, ông Hoàng Đức Cường - Phó Cục trưởng Cục Khí tượng thủy văn - cho biết trước thông tin trên mạng xã hội cho rằng tiếp tục xuất hiện bão số 12 trên Biển Đông ngay sau bão Matmo (bão số 11), ông Cường bác bỏ và cho biết đến thời điểm này, trên Biển Đông mới có cơn bão số 11.

"Hiện nay, qua theo dõi thì ngành khí tượng chưa thấy có điều kiện nào để có cơn bão số 12 trên Biển Đông. Khả năng cao tới đây sẽ có cơn bão số 12 trên Biển Đông nhưng không phải thời điểm này" - ông Cường nói.

Ông Cường cũng cho biết hiện nay, trên khu vực tây bắc Thái Bình Dương đang có bão Hạ Long hoạt động.

Đây là cơn bão thứ 22 tại khu vực này trong mùa bão năm nay.

Dự báo bão Hạ Long không vào Biển Đông và không ảnh hưởng đến nước ta.

Cơ quan khí tượng Nhật Bản (JMA) cũng dự báo những ngày tới bão hướng về vùng biển ngoài khơi phía đông nam nước này, sau đó bão đổi hướng đi theo hướng đông, không hướng về phía Biển Đông.

Về diễn biến mưa bão từ nay đến cuối năm, ông Cường cho biết hiện tượng ENSO có khả năng duy trì ở trạng thái trung tính và nghiêng về pha lạnh, nhưng chưa đạt một chu kỳ La Nina.

Do đó, từ nay đến hết năm, có khoảng 4-5 cơn bão và áp thấp nhiệt đới hoạt động trên khu vực Biển Đông và khoảng 2-3 cơn có khả năng ảnh hưởng đến nước ta - mức cao hơn so với trung bình nhiều năm.

Trúc Chi (t/h Lao Động, Tuôi Trẻ)

Cảm ơn bạn đã quan tâm đến nội dung trên. Hãy tặng sao để tiếp thêm động lực cho tác giả có những bài viết hay hơn nữa.
Đã tặng: 0 star
Tặng sao cho tác giả
Hữu ích
5 star
Hấp dẫn
10 star
Đặc sắc
15 star
Tuyệt vời
20 star

Bạn cần đăng nhập để thực hiện chức năng này!

Bình luận không đăng nhập

Bạn không thể gửi bình luận liên tục. Xin hãy đợi
60 giây nữa.