Biển động

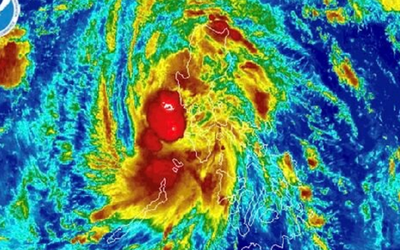
Bão Fengshen tăng cấp có hướng đi "dị thường"
Bão Fengshen đang tiến sát Biển Đông, sức gió giật cấp 13, biển động rất mạnh.

Bão số 12 di chuyển nhanh vào Biển Đông, đột ngột ngoặt hướng
Dự báo cơn bão Fengshen tiếp tục mạnh lên, tiến vào Biển Đông và trở thành cơn bão số 12 vào sáng 19/10. Do ảnh hưởng của không khí lạnh, nên các kịch bản mưa cũng như tác động của bão với đất liền Việt Nam sẽ có nhiều thay đổi.

Áp thấp nhiệt đới mạnh lên "chóng mặt", sắp thành bão hướng thẳng nơi này
Theo dự báo thời tiết, cơn bão mang tên quốc tế Fengshen dự kiến vào Biển Đông vào đêm 19, rạng sáng 20/10, sức gió mạnh nhất 102 km/h, cấp 9, tâm điểm dồn dập nơi này.

Dự báo thêm 2-3 cơn bão sắp vào Việt Nam, không khí lạnh đến sớm "lạ thường"
Theo nhà nghiên cứu khí tượng, từ nay đến hết năm 2025 có khoảng 3 - 4 cơn bão/áp thấp nhiệt đới hoạt động trên Biển Đông.

Nhận định kịch bản xấu nhất của bão số 11 Matmo, tâm điểm dồn dập nơi này
Theo dự báo thời tiết chiều 3/10, bão Matmo đã đi vào vùng biển phía đông khu vực bắc Biển Đông, trở thành cơn bão số 11 trên Biển Đông trong năm 2025.
Bão Matmo tăng tốc, mưa xối xả tập trung nơi này
Dự báo thời tiết ngày 4/10, bão Matmo sẽ đi vào Biển Đông, trở thành cơn bão số 11 và có khả năng mạnh thêm, cường độ gió cấp 12, giật cấp 15, gây mưa lớn cho khu vực Bắc Bộ.

Bão Matmo tăng cấp nhanh, liệu có ảnh hưởng đến đất liền nước ta?
Theo dự báo thời tiết, áp thấp nhiệt đới trên vùng biển phía Đông Philippines đã mạnh lên thành bão, có tên quốc tế là Matmo. Khi đi vào Biển Đông, bão liên tục tăng cấp và đến ngày 5/10, có thể mạnh lên cấp 12.

Bão số 10 vừa qua, "mầm mống" bão mới đã xuất hiện
Theo dự báo thời tiết, sau cơn bão số 10 (Bualoi), dự báo từ nay tới cuối năm sẽ còn 4 - 5 cơn bão xuất hiện trên Biển Đông, xác suất khoảng 1 - 2 cơn đổ bộ vào đất liền.

Bão Bualoi đang đi nhanh, mưa to "sầm sập" trút xuống nơi này
Do ảnh hưởng của bão Bualoi, dự báo từ chiều tối nay (26/9), vùng biển phía đông khu vực bắc và giữa Biển Đông có gió mạnh cấp 6 - 7, sau tăng lên cấp 8 - 9, vùng gần tâm bão đi qua cấp 10 - 12, giật cấp 15, sóng biển cao trên 5 - 7 m, biển động dữ dội.

Bão Bualoi tăng cấp "chóng mặt", hướng thẳng nơi này
Theo dự báo thời tiết, bão số 9 đã giảm cường độ xuống cấp 8, còn bão Bualoi (bão số 10) đã mạnh lên cấp 12, giật cấp 15, đang hướng vào Biển Đông.

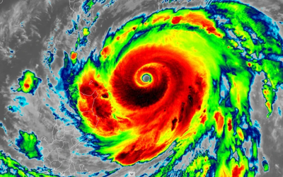
Siêu bão Ragasa còn mạnh hơn cả Yagi, tâm điểm nơi nào?
Với sức gió duy trì tới 270 km/h, Ragasa chính thức trở thành cơn bão mạnh nhất Trái Đất kể từ đầu năm nay.

Bão Ragasa tiến gần Biển Đông, gây sóng biển cao tới 10m
Theo dự báo, đến ngày 23/9, bão Ragasa đi vào Biển Đông, tâm bão ở khoảng 20,8 độ vĩ Bắc, 118,2 độ kinh Đông, trên vùng biển Đông Bắc khu vực Bắc Biển Đông.

3 áp thấp dồn dập “nối đuôi” quanh Biển Đông
Ngay sau vùng áp thấp trên Biển Đông, nhiều khả năng sẽ có áp thấp nhiệt đới nối đuôi. Áp thấp nhiệt đới này có khả năng cao mạnh lên thành bão trong những ngày tới.

Dự báo thời điểm bão số 7 đổ bộ, mưa dữ dội nơi này
Do ảnh hưởng của hoàn lưu sau bão số 7, từ ngày 9 đến đêm 10/9, ở khu vực vùng núi và trung du Bắc Bộ có khả năng xảy ra một đợt mưa lớn diện rộng với lượng mưa phổ biến 70-150mm, cục bộ có nơi trên 300mm.

Bão số 7 đang rất mạnh, sắp đổ bộ nơi này
Theo dự báo thời tiết, sáng sớm nay 8/9, bão số 7 đang ở thời điểm mạnh nhất với cường độ cấp 10, giật cấp 13.

Dự báo đường đi của áp thấp nhiệt đới 24 giờ tới và diễn biến thời tiết xấu
Dự báo thời tiết 1-2 ngày tới, áp thấp nhiệt đới ảnh hưởng đến các tỉnh Bắc Trung Bộ, từ 30/8-1/9, Bắc Bộ và Thanh Hoá - Huế mưa vừa, mưa to.

Áp thấp nhiệt đới hướng đi "lạ thường", tâm điểm nơi nào?
Theo dự báo thời tiết sáng nay (28/8), áp thấp nhiệt đới trên vùng biển phía Đông khu vực Bắc Biển Đông với sức gió giật cấp 8 và đang mạnh thêm, di chuyển theo hướng Tây, tiến thẳng vào khu vực đất liền nước ta.
Bão số 5 vừa tan, ngoài khơi lại xuất hiện áp thấp nhiệt đới mới mạnh lên "chóng mặt"
Theo dự báo thời tiết, 24 giờ sau khi bão số 5 (Kajiki) tan, Biển Đông lại đón áp thấp nhiệt đới mới. Dự báo, trong 24-48 giờ tới, áp thấp nhiệt đới di chuyển vào khu vực biển đặc khu Hoàng Sa; cảnh báo sóng cao, biển động ở nhiều khu vực.

Áp thấp nhiệt đới trên biển Đông di chuyển nhanh, sóng cao tới 3,5m
Ảnh hưởng từ áp thấp nhiệt đới ở vùng biển phía tây; khu vực Bắc Biển Đông (bao gồm vùng biển đặc khu Hoàng Sa) có mưa dông và gió mạnh cấp 6-7, giật cấp 8-9, sóng biển cao 2-3,5m, biển động mạnh.

Áp thấp nhiệt đới trên Biển Đông có mạnh lên thành bão?
Do ảnh hưởng từ áp thấp nhiệt đới, ở vùng biển phía Đông của khu vực Bắc Biển Đông có mưa dông và gió mạnh cấp 6, giật cấp 8, sóng biển cao 2,0-3,0m, biển động.

Biển Đông xuất hiện áp thấp nhiệt đới mạnh cấp 6, thêm bão Podul đang tiến gần Philippines
Sáng sớm nay 8/8, vùng áp thấp trên khu vực Bắc Biển Đông đã mạnh lên thành áp thấp nhiệt đới.

"Lạ thường" cùng lúc xuất hiện 3 cơn bão trên biển
Mùa bão 2025 được dự báo có thể không có những dấu hiệu cực đoan rõ ràng như các năm ENSO mạnh, nhưng tính khó lường về quỹ đạo và cường độ có thể tăng lên và khó đoán định hơn.

Bão số 3 vừa qua, ngoài khơi lại xuất hiện áp thấp "nối đuôi"
Theo dự báo thời tiết, bão, áp thấp nhiệt đới có khả năng tập trung nhiều vào thời kỳ từ tháng 7-9 tại Bắc Bộ và tháng 10-11 ảnh hưởng nhiều đến Trung Bộ và các tỉnh phía Nam.

Bão số 3 (bão Wipha) đổ bộ đất liền, cảnh báo 160 "điểm nóng” về lũ quét, sạt lở đất
Bão số 3 Wipha đổ bộ vào Ninh Bình, Hưng Yên, gió đã rất to, mưa như trút. Nhiều địa phương miền núi phía Bắc và Bắc Trung Bộ đã ghi nhận hàng trăm điểm nguy cơ cao lũ quét, sạt lở đất do mưa lớn kéo dài.