Siêu bão Milton mạnh thần tốc
Hành trình của Milton từ bão cấp 2 lên bão cấp 5 trong thang bão 5 cấp Saffir-Simpson chỉ trong vài giờ khiến các chuyên gia dự báo bão tự hỏi liệu cơn bão mạnh này có thể trở thành bão cấp 6 hay không.

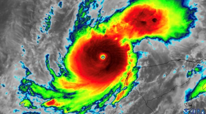
Bão mới Milton thần tốc trở thành siêu bão mạnh nhất hành tinh 2024.
Cơn bão này phát triển rất mạnh và rất nhanh vào ngày 7/10 sau khi hình thành ở Vịnh Mexico, bùng nổ từ một cơn bão nhiệt đới có tốc độ 96 km/h vào sáng 6/10 thành siêu bão cấp 5 với sức gió 289 km/h, tăng tốc chóng mặt 193 km/h trong 36 giờ.
Hiện cơn bão này phát triển nhanh chóng này chưa có dấu hiệu dừng lại và về mặt kỹ thuật sẽ không trở thành bão cấp 6 vì hiện tại chưa có bão cấp 6. Nhưng nó có thể sớm đạt đến cấp độ của một cơn bão cấp 6 giả định mà các chuyên gia đã thảo luận và khuấy động các cuộc tranh luận về việc liệu thang đo Saffir-Simpson được Trung tâm Bão Quốc gia Mỹ (NHC) sử dụng từ lâu để phân loại tốc độ gió bão từ cấp 1 đến cấp 5 có cần phải được sửa đổi hay không.
Milton đã ở trong không khí loãng khi vượt qua sức gió 252 km/h để trở thành bão cấp 5. Nhưng nếu đạt sức gió 308 km/h, nó sẽ vượt qua ngưỡng mà chỉ có 5 cơn bão đạt được kể từ năm 1980, theo Michael Wehner, nhà khoa học khí hậu tại Phòng thí nghiệm quốc gia Lawrence Berkeley và Jim Kossin, nhà khoa học liên bang đã nghỉ hưu và cố vấn khoa học tại Quỹ First Street. Hai nhà khoa học này đã nghiên cứu xem có nên bổ sung bão cấp 6 hay không. Cả 5 cơn bão với sức gió 308 km/h đều xảy ra trong thập kỷ trước.
Các nhà khoa học cho biết ngày càng nhiều cơn bão khốc liệt do nước ấm kỷ lục ở các đại dương trên thế giới, đặc biệt là ở Vịnh Mexico và một số khu vực Đông Nam Á và Philippines.
Theo Kossin và Wehner, họ không đề xuất thêm siêu siêu bão cấp 6 vào thang đo gió mà đang cố gắng "thông báo các cuộc thảo luận rộng hơn" về việc truyền đạt những rủi ro ngày càng tăng trong một thế giới đang nóng lên.

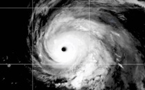
Hành trình thần tốc Milton thành siêu bão cấp 5 trong 24 giờ. Ảnh: NOAA.
Lao Động dẫn nguồn Trung tâm Bão quốc gia Mỹ cho hay, cơ quan này đã sử dụng thang đo Saffir-Simpson 5 cấp nổi tiếng này kể từ những năm 1970. Ngưỡng tối thiểu cho bão cấp 5 là sức gió 252 km/h.
Được thiết kế bởi kỹ sư Herbert Saffir và được cựu giám đốc trung tâm Robert Simpson điều chỉnh, thang đo Saffir-Simpson dừng ở cấp 5 vì gió mạnh như vậy sẽ "gây ra thiệt hại đứt gãy nghiêm trọng bất kể được thiết kế tốt thế nào", Simpson cho biết trong một cuộc phỏng vấn năm 1999.
Tuy nhiên, thang đo bão cấp 5 ngày càng trở nên không còn phù hợp theo thời gian vì biến đổi khí hậu đang tạo ra ngày càng nhiều cơn bão có sức mạnh chưa từng thấy.
Điểm danh những cơn bão Đại Tây Dương mạnh nhất từng được ghi nhận
Theo dự báo dựa trên tốc độ gió, Milton có thể cạnh tranh với cơn bão Đại Tây Dương mạnh nhất từng được ghi nhận: Bão năm 1980 có tên là Allen, có tốc độ gió cực đại là 305 km/h trước khi đổ bộ dọc theo biên giới Mỹ - Mexico.
Điều đáng nói, siêu bão Milton giống với bão Wilma năm 2005 hơn. Wilma là cơn bão giữ kỷ lục về áp suất thấp nhất trong một cơn bão - một thước đo khác về cường độ của một cơn bão.
Trước đó, bão Rita năm 2005, đạt tốc độ gió 290 km/h, đã gây ra thiệt hại lớn khi đổ bộ vào Louisiana. Rita giáng đòn mạnh dù đã suy yếu thành bão cấp 3 trước khi đổ bộ. Đây là kịch bản có khả năng xảy ra với Milton khi tiến gần đến Florida.
Hiểu đúng về 5 cấp độ bão theo thang đo gió Saffir-Simpson gồm:
Cấp 1: 119-153km/h. Bão cấp 1 được coi là rất nguy hiểm và dự kiến gây ra một số thiệt hại cho đường dây điện và cột điện.
Cấp 2: 154-177km/h. Tốc độ gió này dự kiến gây ra thiệt hại lớn.
Cấp 3: 178-208km/h. Bão dự kiến thiệt hại sẽ rất lớn ở cấp độ này. Cây có thể gãy và bật gốc, nguồn điện và nước có thể bị gián đoạn.
Cấp 4: 209-251km/h. Giới chức cảnh báo về thiệt hại thảm khốc với bão cấp 4.
Cấp 5: 252km/h trở lên. Mái nhà và tường nhà dự kiến bị hư hại hoặc sụp đổ. Dự kiến mất điện kéo dài.
Siêu bão Milton dự kiến đổ bộ vào Florida, Mỹ với cường độ bão cấp 5 - cấp cao nhất theo thang đo bão tại quốc gia này vào sáng ngày 9/10 và dự kiến sẽ có sức tàn phá lớn hơn cả cơn bão Helene vừa đổ bộ vào khu vực này cuối tháng 9 vừa qua.
Hiện, 6 triệu cư dân đã được cảnh báo về bão và nhiều người đã được lệnh phải sơ tản vì dự kiến cơn bão này sẽ khiến mực nước dâng cao tới 15 feet (khoảng 4,7 mét) và sức gió mạnh nhất lên tới 257 km/h, đe dọa đến tính mạng của người dân. Đến thời điểm hiện tại, cơn bão vẫn đang di chuyển với tốc độ rất nhanh.
Theo các nhà nghiên cứu, biến đổi khí hậu có thể đã đóng vai trò lớn trong việc làm gia tăng nhanh chóng cường độ của các cơn bão, vì khi nước nóng lên, các đại dương sẽ tạo ra nhiều năng lượng hơn, tạo điều kiện cho các cơn bão phát triển mạnh, theo Znews.
Trúc Chi (t/h)
 
                        
