Siêu bão

Bão Matmo thành bão số 11, Bộ Xây dựng yêu cầu ứng phó khẩn cấp
Bão Matmo mạnh lên nhanh, dự báo vào Biển Đông thành bão số 11, Bộ Xây dựng ra Công điện khẩn yêu cầu toàn ngành ứng phó, đảm bảo an toàn.

Bão Ragasa giảm cấp nhưng vẫn rất nguy hiểm, tâm điểm hướng về nơi này nước ta
Theo dự báo thời tiết hồi 19h vị trí tâm bão khoảng 21.6 độ Vĩ Bắc; 111.4 độ Kinh Đông, cách Móng Cái (Quảng Ninh) khoảng 375km về phía Đông. Sức gió mạnh nhất: Cấp 12 (118 - 133km/h), giật cấp 15.

Bão số 9 chưa tan, bão số 10 "lộ diện", dự báo hướng về nơi này
Áp thấp nhiệt đới phía Đông Philippines đã mạnh lên thành bão và có tên quốc tế Bualoi. Dự báo bão sẽ đi vào Biển Đông và trở thành cơn bão số 10 năm 2025.

Bão số 9 Ragasa đi nhanh, tâm điểm dồn dập nơi này
Theo dự báo rạng sáng nay, bão số 9 Ragasa cách Móng Cái (Quảng Ninh) 620km, đang gây gió mạnh và mưa lớn dữ dội cho phía Nam Quảng Đông (Trung Quốc). Khoảng trưa đến chiều mai 25/9, bão sẽ đi vào đất liền nước ta.

Siêu bão tiếp cận Hồng Kông (Trung Quốc) gây mưa lớn, gió mạnh
Siêu bão Ragasa, cơn bão nhiệt đới lớn nhất trong năm 2025, vừa tràn vào Hồng Kông (Trung Quốc) mang theo gió mạnh, mưa lớn trong ngày thứ Tư, khiến thành phố này phải phong toả và huỷ bỏ hơn 700 chuyến bay.

Lật thuyền do siêu bão Ragasa, 1 người chết, 6 người mất tích
Một vụ lật thuyền đã xảy ra ngoài khơi bờ biển Santa Ana, tỉnh Cagayan, khiến ít nhất 1 người thiệt mạng và 6 người khác mất tích.

Chủ tịch Hà Nội yêu cầu ứng phó siêu bão Ragasa ở mức cao nhất
Trước diễn biến phức tạp của siêu bão Ragasa, Chủ tịch UBND Tp.Hà Nội yêu cầu toàn bộ hệ thống chính quyền phải vào cuộc quyết liệt, triển khai các biện pháp ứng phó ở mức cao nhất, không để bị động, bất ngờ.

Siêu bão Ragasa còn chưa tan, "mầm bão" số 10 đã hình thành
Bão Ragasa hình thành từ một áp thấp nhiệt đới ngoài khơi xa của Philippines, mạnh lên thành bão vào ngày 18/9, tăng liên tiếp 9 cấp, trở thành cơn bão mạnh nhất thế giới năm 2025 đến hiện tại.

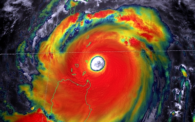
Siêu bão Ragasa mạnh chưa từng thấy lộ mắt bão "khổng lồ" đường kính hơn 70km
Tối 22/9, siêu bão Ragasa đã đi vào vùng biển phía đông bắc của khu vực bắc Biển Đông, trở thành cơn bão số 9 trong năm 2025.
Bộ Xây dựng yêu cầu triển khai ứng phó khẩn cấp với siêu bão Ragasa
Bộ Xây dựng chỉ đạo các đơn vị trực 24/24, rà soát phương án ứng phó siêu bão Ragasa, đảm bảo an toàn tính mạng, giao thông và công trình trọng điểm.

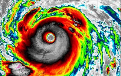
Siêu bão Ragasa còn mạnh hơn cả Yagi, tâm điểm nơi nào?
Với sức gió duy trì tới 270 km/h, Ragasa chính thức trở thành cơn bão mạnh nhất Trái Đất kể từ đầu năm nay.

Siêu bão Ragasa "mạnh chưa từng thấy" xuất hiện trên Biển Đông
Siêu bão Ragasa duy trì cường độ cực đại cấp 16 - 17, giật trên cấp 17 trong ngày 22 - 23/9. Chuyên gia nhận định cơn bão này tương đương hoặc vượt cường độ mạnh nhất của bão số 3 Yagi năm 2024 và nằm trong nhóm siêu bão mạnh nhất từng xuất hiện trên Biển Đông.

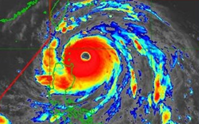
Siêu bão Ragasa mạnh lên từng giờ, liệu có đổ bộ vào nước ta?
Theo Dự báo thời tiết bão Ragasa khi vào Biển Đông sẽ mạnh cấp 17, cấp siêu bão (khoảng 220km/h). Dự báo của đài khí tượng Việt Nam và quốc tế khá tương đồng về đường đi của bão tới thời điểm vào Vịnh Bắc Bộ sáng 25/9.

Sự thay đổi "đáng sợ" của bão Man-yi khủng khiếp thế nào mà vọt lên nhóm siêu bão mạnh nhất hành tinh năm 2024
Dự báo siêu bão Man-yi (được gọi là Pepito ở Philippines) là siêu bão cấp 5, 1 trong 5 siêu bão mạnh nhất hành tinh trong mùa bão 2024.

Man-yi, 1 trong 5 siêu bão mạnh nhất hành tinh năm 2024, khả năng vào Biển Đông trong đêm nay
Dự báo, khoảng đêm nay, siêu bão Man-yi sẽ vào Biển Đông với sức gió mạnh cấp 13, giật cấp 15, nhiều khả năng đây là cơn bão số 9 trong năm 2024.

Miền Bắc đón không khí lạnh, Biển Đông "chào" bão Man-yi mạnh khủng khiếp
Do ảnh hưởng của siêu bão Man-yi, từ chiều 17/11, vùng biển phía Đông khu vực Bắc Biển Đông gió mạnh cấp 6-7, sau tăng lên cấp 8-9, vùng gần tâm bão đi qua cấp 10-12, giật cấp 16.

Miền Bắc đón không khí lạnh "khống chế" bão mới, thời tiết tháng 11 nhiều chuyển biến "lạ thường"
Dự báo miền Bắc sắp đón đợt không khí lạnh mới, Biển Đông khả năng hứng siêu bão mạnh khủng khiếp. Đáng chú ý, không khí lạnh tác động sẽ làm cho cường độ và hướng di chuyển của bão Man-Yi sẽ có nhiều thay đổi.

"Nối đuôi" ngay sau bão số 7, bão Toraji tăng cấp từng giờ đang tiến nhanh vào Biển Đông
Theo dự báo, bão Toraji hiện đã tăng thêm 1 cấp - mạnh cấp 11, giật cấp 13 đang di chuyển với tốc độ nhanh, hướng thẳng vào Biển Đông.

Năm của những siêu bão "mạnh chưa từng thấy"
Năm 2024, thế giới chứng kiến sự ra đời của hàng loạt siêu bão với sức phá hoại khủng khiếp. Điển hình như Yagi, Helene, Krathon... Vậy nguyên nhân do đâu, siêu bão xuất hiện ngày càng nhiều?

Vừa chào tạm biệt siêu bão có mắt "khổng lồ", ngoài khơi lại xuất hiện áp thấp mới mạnh lên theo giờ
Các nhà dự báo thời tiết Philippines nhận định, áp thấp mới có khả năng mạnh thành bão sau Kong-rey (tên địa phương là Leon) có thể tiếp tục duy trì tới giai đoạn từ ngày 6-12/11.

Siêu bão Kong-rey có hướng đi "dị thường" kèm mắt bão khổng lồ nhất từng được ghi nhận
Một cơn bão có cường độ mạnh như Kong-rey xuất hiện vào thời điểm này trong năm ở khu vực là tương đối hiếm thấy.

Bão Kong-rey tăng cấp từng ngày, mạnh "khủng khiếp" thế nào mà thành siêu bão sớm so với dự báo?
Với hướng đi lạ thường, bão Kong-rey còn được dự báo tăng cấp thành siêu bão sớm hơn tới 24 giờ so với dự báo bão trước đó. Liệu bão có ảnh hưởng đến nước ta?

Bão Kong-rey còn chưa đổ bộ, áp thấp mới đã xuất hiện dồn dập "nối đuôi"
Bão Kong-rey mạnh lên khó lường khi di chuyển về phía tây bắc trên Biển Philippines, dự báo có thể thành siêu bão.

Bão Trà Mi vừa đi qua, bão Kong-rey lại đến, còn tăng cấp "chóng mặt", mở rộng quy mô
Cơn bão mới "nối đuôi" ngay sau bão Trà Mi có tên bão Kong-rey. Theo đánh giá từ các cơ quan khí tượng quốc tế, bão Kong-rey hiện được xếp vào loại bão nhiệt đới mạnh.