Ngày 14/4, siêu bão Sinlaku ở khu vực tây bắc Thái Bình Dương vẫn duy trì gió mạnh khoảng 210km/h (tương đương cấp 17) và đang hướng về quần đảo Bắc Mariana của Mỹ, theo The Guardian.
Các nhà khí tượng nhận định Sinlaku là cơn bão "đặc biệt nguy hiểm" do sự kết hợp của nhiều yếu tố bao gồm cường độ tăng tốc bất thường, quy mô ảnh hưởng rộng và những rủi ro thiên tai đi kèm vượt xa sức gió đơn thuần.
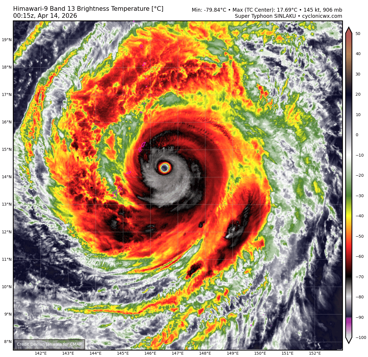
Theo Cơ quan khí tượng Nhật Bản (JMA) lúc 6h sáng nay, tâm siêu bão Sinlaku đang ở cách đảo Saipan (thuộc quần đảo Bắc Mariana) khoảng 160km về phía đông nam, sức gió mạnh nhất vùng gần tâm bão vẫn duy trì khoảng 210km/h, tương đương cấp 17, giật trên cấp 17.

Ảnh vệ tinh siêu bão Sinlaku sáng 14/4 - Ảnh: Cyclonicwx
JMA cho biết, hiện tại, áp suất vùng trung tâm siêu bão vẫn ở mức rất thấp 905 hPa - tức một siêu bão cực kỳ mạnh với vùng gió mạnh cấp 7 trở lên trải dài từ 500-600km tính từ tâm bão, vùng gió mạnh cấp 10 trở lên khoảng 165km.
Trên ảnh vệ tinh sáng nay cho thấy mắt siêu bão Sinlaku vẫn rõ nét, tròn xoe, hoàn lưu rộng hàng trăm km, đối xứng, dày đặc, đang áp sát, bao trùm quần đảo Bắc Mariana.
Dự báo trong 24 giờ tới, siêu bão Sinlaku tiếp tục di chuyển theo hướng tây bắc với tốc độ khoảng 15km/h, quét qua quần đảo Bắc Mariana, với trọng tâm là hai đảo Saipan và Tinian, cường độ có thể suy yếu dần.
Đến 6h sáng 15/4, tâm siêu bão ở trên vùng biển phía đông bắc quần đảo Bắc Mariana. Sức gió mạnh nhất vùng gần tâm bão lúc này khả năng suy yếu xuống 185km/h (tương đương đầu cấp 16).

Ảnh vệ tinh siêu bão Sinlaku sáng 14/4 - Ảnh: Himawari 8
Những ngày sau đó, bão đi theo hướng bắc rồi đông bắc, cường độ bão khả năng suy yếu thêm.
Hiện siêu bão Sinlaku đang cách Biển Đông khoảng 3.000km và với dự báo hướng di chuyển trên, Cơ quan khí tượng Việt Nam nhận định siêu bão Sinlaku không có khả năng đi vào khu vực Biển Đông và không ảnh hưởng đến đất liền nước ta.
Dù tâm bão có khả năng sẽ đi chệch lên phía Bắc (hướng về phía Saipan và Tinian) thay vì đổ bộ trực tiếp vào đảo Guam, các chuyên gia cảnh báo rằng "bán kính nguy hiểm" của Sinlaku là "rất rộng lớn", có thể kéo theo chuỗi rủi ro đi kèm, bao gồm mưa lớn, sóng biển, nước dâng và thời gian ảnh hưởng kéo dài, San Francisco Chronicle đưa tin.
Điểm đáng chú ý khác là tác động kéo dài của bão. Thay vì đi nhanh qua khu vực, Sinlaku được dự báo sẽ quần thảo trong 36-40 giờ liên tục với gió mạnh. Thời gian kéo dài này khiến hạ tầng bị "bào mòn". Cây cối bật gốc, mái nhà bị tốc, hệ thống điện và viễn thông dễ sụp đổ hàng loạt.
Ngay cả trong kịch bản Guam không hứng chịu trực tiếp mắt bão, các chuyên gia vẫn cảnh báo rằng "tác động không chỉ nằm ở tâm bão". Với bán kính ảnh hưởng rộng, khu vực này vẫn có thể trải qua hàng chục giờ gió mạnh cấp nhiệt đới, mưa lớn và biển động dữ dội.
Một yếu tố khác làm tăng tính nguy hiểm là độ bất định trong dự báo đường đi. Dù các mô hình hiện cho thấy khả năng cao tâm bão sẽ đi lệch khỏi Guam, song vẫn tồn tại khoảng 30% khả năng bão dịch chuyển bất ngờ.
Trước mức độ nguy hiểm của Sinlaku, các cơ quan khí tượng và chính quyền địa phương đã phát đi nhiều cảnh báo khẩn, yêu cầu người dân trú ẩn, tránh xa khu vực ven biển và chuẩn bị cho tình huống khẩn cấp. Tuy nhiên, các chuyên gia nhấn mạnh việc một khu vực "thoát" tâm bão không đồng nghĩa với an toàn tuyệt đối.
Sinlaku là cơn bão đầu tiên trong năm 2026 đạt cấp siêu bão. Đây cũng là lần thứ ba kể từ năm 1977 mới xuất hiện một siêu bão trong tháng 4, trước đó là siêu bão Surigae năm 2021.
Tính từ đầu năm đến nay, Sinlaku đang là cơn bão mạnh nhất thế giới với áp suất trung tâm 905 hPa, vượt qua bão Maila ở khu vực Úc (924 hPa).
Với áp suất trung tâm 905 hPa, các chuyên gia thời tiết đánh giá đây là một siêu bão cực kỳ mạnh, có sức tàn phá lớn, bất kỳ khu vực đất liền nào nằm trên đường đi của bão đều sẽ phải đối mặt với những hậu quả nặng nề.
Hiện Guam đã được đặt trong Tình trạng Sẵn sàng Cấp độ 1 (COR 1) từ chiều 13/4. Người dân được lệnh ở trong nhà tuyệt đối cho đến khi bão đi qua, theo Kuam.
Khánh Linh (t/h)