Bão số 9
Bão số 9 - Tin tức bão số 9 cập nhật đầy đủ và mới nhất trên Báo Người Đưa Tin.

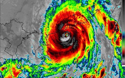
Bão Ragasa giảm cấp nhưng vẫn rất nguy hiểm, tâm điểm hướng về nơi này nước ta
Theo dự báo thời tiết hồi 19h vị trí tâm bão khoảng 21.6 độ Vĩ Bắc; 111.4 độ Kinh Đông, cách Móng Cái (Quảng Ninh) khoảng 375km về phía Đông. Sức gió mạnh nhất: Cấp 12 (118 - 133km/h), giật cấp 15.

Chủ tịch Hà Nội yêu cầu ứng phó siêu bão Ragasa ở mức cao nhất
Trước diễn biến phức tạp của siêu bão Ragasa, Chủ tịch UBND Tp.Hà Nội yêu cầu toàn bộ hệ thống chính quyền phải vào cuộc quyết liệt, triển khai các biện pháp ứng phó ở mức cao nhất, không để bị động, bất ngờ.

Bộ Y tế yêu cầu sẵn sàng công tác y tế ứng phó bão Ragasa
Bộ Y tế yêu cầu các cơ sở khám chữa bệnh trực chuyên môn, trực cấp cứu 24/24; sẵn sàng thu dung cấp cứu cho nạn nhân do mưa, lũ gây ra; không để gián đoạn trong công tác cấp cứu, điều trị cho người dân.

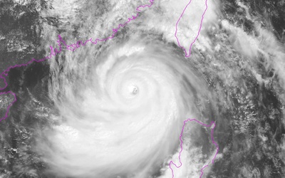
Bão Helene "thần tốc bậc nhất lịch sử" vọt lên cấp 4 trong hôm nay (26/9), tâm điểm hướng về đâu?
Dự báo bão Helene tiếp tục mạnh lên, chuyển mình thành cơn bão "quái vật" khổng lồ, lan rộng khi di chuyển về phía bắc.

Vì sao bão số 9 đột ngột đổi hướng, không đi vào đất liền?
Sau khi đổi hướng, dự báo trong 24 giờ tới bão số 9 di chuyển chủ yếu theo hướng Bắc Đông Bắc, mỗi giờ đi được 15-20 km và suy yếu dần.

Bình Thuận: Bão Rai làm 1 người tử vong, thiệt hại 1,3 tỷ đồng
Sáng 20/12, Ban chỉ huy PCTT và TKCN tỉnh Bình Thuận có báo cáo về tình hình thiệt hại tàu thuyền do sóng mạnh, gió lớn ảnh hưởng của bão số 9.

Bão số 9 gây nhiều thiệt hại ở tỉnh Khánh Hòa
Sau khi bão số 9 (Rai) di chuyển ra ngoài phạm vi ảnh hưởng của tỉnh Khánh Hòa, các địa phương, đơn vị trong tỉnh đã thống kê sơ bộ về thiệt hại do bão số 9 gây ra.

Bão số 9 đổi hướng, vùng biển miền Trung gió giật cấp 8
Trước diễn biến phức tạp của cơn bão số 9, các địa phương khu vực miền Trung đã lên phương án sẵn sàng ứng phó.

Khánh Hòa: Gần 100 lồng bè bị sóng đánh vỡ, ước thiệt hại 200 tỷ đồng
Gần 100 lồng nuôi trồng thủy sản của người dân đảo Bình Hưng, xã Cam Bình, Tp.Cam Ranh, tỉnh Khánh Hòa bị sóng đánh vỡ, hư hỏng.

Khánh Hòa: Bão số 9 gây thiệt hại trên các đảo ở Trường Sa
Bão số 9 (Rai) làm một số công trình trên các đảo ở huyện Trường Sa, tỉnh Khánh Hòa bị tốc mái, cây xanh ngã đổ và hư hại một số cơ sở vật chất.
Bão số 9 rất mạnh, cách đất liền Bình Định-Phú Yên khoảng 200km
Do ảnh hưởng của rìa phía Tây Bắc bão số 9 kết hợp với không khí lạnh, trạm khí tượng tại đảo Lý Sơn đã quan trắc được gió mạnh cấp 7, giật cấp 9.
Bão số 9 ở giai đoạn mạnh nhất, miền Trung hứng đợt mưa lớn
Bão số 9 khả năng duy trì sức gió mạnh cấp 14, giật cấp 17. Theo dự báo, đêm 18/12 và ngày 19/12 sẽ là thời điểm bão số 9 gây ra mưa lớn và gió mạnh nhất.

Khánh Hòa còn 83 tàu với 773 ngư dân đang hoạt động trên biển
Tỉnh Khánh Hòa chủ động triển khai, thực hiện các biện pháp phòng, chống để ứng phó với bão số 9 (Rai).

Tin bão khẩn cấp cơn báo số 9, miền Trung mưa to từ đêm nay
Do ảnh hưởng của bão kết hợp với không khí lạnh, từ đêm nay (18/12) đến hết ngày 19/12, ở khu vực từ Thừa Thiên-Huế đến Khánh Hòa có thể sẽ có mưa to.

Dự báo thời tiết ngày 18/12/2021: Bão Rai vẫn rất mạnh, miền Bắc đột ngột chuyển rét
Tin tức dự báo thời tiết mới nhất trong hôm nay (18/12). Cập nhật tin tức dự báo thời tiết nhanh và chính xác nhất trên Người Đưa Tin.
Tin mới nhất về siêu bão Rai - cơn bão mạnh hiếm gặp nhiều năm qua
Bão Rai với sức gió cấp 16 giật cấp 17, cảnh báo khu vực giữa Biển Đông có sóng cao 8m, biển động dữ dội.

Siêu bão Rai là cơn bão hiếm gặp có ảnh hưởng đến nước ta như thế nào?
Bão số 9 (siêu bão Rai) mặc dù đã giảm một cấp nhưng khi vào Biển Đông, "siêu bão" Rai vẫn là cơn bão rất mạnh trong nhiều năm trở lại đây.

Dự báo thời tiết ngày 17/12/2021: Hà Nội nắng ấm trước khi đón không khí lạnh tăng cường
Tin tức dự báo thời tiết mới nhất trong hôm nay (17/12). Cập nhật tin tức dự báo thời tiết nhanh và chính xác nhất trên Người Đưa Tin.
Bão Rai rất mạnh, di chuyển nhanh, 28 tỉnh, thành cấp tốc kêu gọi tàu vào bờ
Bão Rai (bão số 9) có cường độ mạnh, di chuyển nhanh, rất nguy hiểm, theo đó các địa phương khẩn trương thông báo, kêu gọi các tàu thuyền về nơi tránh trú an toàn.

Ứng phó bão Rai rất mạnh sắp thẳng tiến vào Biển Đông
Dự báo bão Rai đi vào Biển Đông đêm 17 và rạng sáng 18/12 và trở thành bão số 9, ảnh hưởng trực tiếp đến tàu, thuyền đang hoạt động ở khu vực Biển Đông.

Biển Đông có khả năng sắp hứng chịu bão số 9
Dự báo áp thấp nhiệt đới ở phía đông Philippines có thể mạnh lên thành bão .Từ 16-17/12, bão đi vào khu vực phía Nam Biển Đông, trở thành cơn bão số 9 trong năm nay.
Áp thấp nhiệt đới có nguy cơ mạnh thành bão tiếp tục gây mưa to ở nhiều nơi
Vị trí tâm áp thấp nhiệt đới hiện cách Khánh Hòa khoảng 380km. Sức gió mạnh nhất vùng gần tâm áp thấp nhiệt đới mạnh cấp 6 (40-50km/giờ), giật cấp 8.
Áp thấp nhiệt đới giật cấp 8, cảnh báo thời tiết nguy hiểm
Dự báo sáng mai 26/10, vị trí tâm bão cách bờ biển Bình Định đến Bình Thuận khoảng 230km về phía đông. Sức gió mạnh nhất vùng gần tâm bão mạnh cấp 8.

Áp thấp nhiệt đới có thể mạnh lên thành bão số 9, giật cấp 10
Chiều nay (24/10), áp thấp trên vùng biển phía đông khu vực giữa và nam Biển Đông đã mạnh lên thành áp thấp nhiệt đới.